Company Logo
My Counselor HomeFinder Get New Listings Emailed Daily! SIGN UP LOGIN

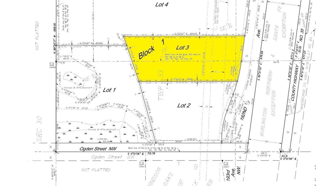
Xxx 192 1/2 Avenue Nw, Elk River, MN 55330

New

2 Total Photos [Click to View All]

Listed By

Agency Name: Arrow Real Estate Corp
Agency Phone: 763-424-6355

Shown By

Agency Title: Counselor Realty
Agency Phone: 612-405-8404

IDX logo

Property Description

Build your dream home on this large 1.61 acre lot (lot 3) in a desirable Elk River location. Each lot offers a peaceful natural setting with room to spread out while keeping the convenience of town close by.Electrical available at the street.Buyer to install private well and septic.Easy access to Hwy 169, schools, shopping, and restaurants.Plenty of space for your home, garage, and outbuildings.Enjoy the best of both worlds ? quiet acreage living with amenities just minutes away.

Xxx 192 1/2 Avenue Nw | MLS# 7026984

This land located at Xxx 192 1/2 Avenue Nw, Elk River, MN 55330 is currently listed for sale with an asking price of $130,000. The property has approximately 1.61 Acres. Xxx 192 1/2 Avenue Nw is located within the Elk River school district. Search Elk River real estate on www.counselorrealestate.com today.

Property Features

Property Type: Land - Residential
Lot Size: 1.61 Acres
Taxes: $0

Feature Descriptions

Days on Site: 5
Land Inclusions: For Sale Sign, Platted, Soil Test Available, Survey
Lot Dimensions: 173x368
Topography: Level
Utilities: Electricity Available, Natural Gas Available Connected, Private Septic Available, Private Well Available, Underground Utilities Available

Local Schools

School District: Elk River

Estimate Your Payment

Estimated Payment

$ 729.83 per month $691.91 Principal & Interest $0.00 Property Tax (data not provided by mls) $37.92 Homeowner's Insurance

Change Payment Information

%
years/fixed
yearly
yearly (est.)
(Payments are an estimate and may vary by lender)

Near By

Demographics

Login to My Homefinder

Pixel